
【西カリブ海クルーズ&ヒューストン&ロサンゼルス】オアシス・オブ・ザ・シーズ コスメル(メキシコ)ダイビング 7日目:前半

ms. krn
2008年の初クルーズでその魅力の虜となりました。 これからも素人目線で庶民派クルーズレポートを発信していきます。 旅の思い出は4travelに掲載中! https://4travel.jp/traveler/hallelujah200x/
プロフィールを見るクルーズ6日目は最後の寄港地、メキシコのコスメル島。
ここでのお楽しみは何と言ってもダイビング!
船のオプションで2ボートダイビングを予約し、不安と緊張でドキドキワクワク。
集合場所でダイビングのスキルと健康状態の確認書を記入し、Cカードとログを確認してサインをします。
用紙はアメリカ人用にフィートとポンドで書かれているのでワケわからないながらも手伝ってもらって何とか完了。
周りのダイバーはみなさんブランクがあるらしく、1月にバリ島でダイビングをしていた私達は誉められちゃいました。
5000人も乗っているというのにダイビング参加者は16名のみ。
日本人コーディネーターによると彼女が担当した日本人乗客の中でダイビングのオプションに参加した客は私達が初めて。
過去のオプションを見るとラバディでもダイビングがあったのに今回はここしかなくて残念と言ったら、毎回参加者が少ないので減らしたのかも、との事でした。
クルーズ中のダイビングはシチリア島で海況が悪くキャンセルになった時依頼なのでとにかく楽しみ!

テレビで位置情報を確認。
コスメル島はすぐそこです。

ダイビングをするので朝食はウィンジャマーでほんの少し。
雲が多いなぁ〜と思ったら土砂降り!
ダイビングなのに天気悪いだなんて最悪。。。

桟橋にもう少しで接岸します。
オアシスは360度自力で航行できるのでタグボートは全く居ません。
部屋が左舷側なのでずーっと見てました。

後方から小さな船が来るな〜と思っていると・・・

どんどん近づいて来ました。
おや?あれはもしかしてロイヤルカリビアンの船かな??

と思ったら方向転換。
どこに行くのだろう?

あらら、曲がって行っちゃいました。

と思ったら今度はバックで進入。
こちらも自力で車庫入れ中。

Vision of the seas
シップデータ
総トン数 :78,491トン
乗客定員 :2000人
乗組員数 :765人
全長 :279m
全幅 :32m
巡航速度 :22.0ノット
就航年 :1998年5月
改装年 :2013年10月

以前、東地中海で乗ったスプレンダーの同型船ヴィジョンクラスの船です。
比べると小さいなぁ・・・

オプショナルツアーの集合場所に向かいます。
集合場所は桟橋の麓の辺り。
9時集合で15分前に到着したらまだ誰も居ませんでした。
9時5分過ぎに行ってもまだ集まっていない様子。
結局出発は30分以上押してたかな?

お天気どんよりの中、船で15分移動します。
ウェットを着ようと思ったら「暑いから脱いでた方が良いよ!」と言われたけど、全然暑くない。
参加者でお調子者のニューヨーカー君、自前のウェットがキツイらしい。
お腹を叩いて「ウィンジャマーが俺の腹をこんな風にした!」って言ってました。
ちなみにその彼、1回目が終わってから明らかにウィンジャマーから持ってきたと思われるシリアルを3箱食べてました。

船上から見るオアシス。
客船とは思えない大きさ。

隣の桟橋にはカーニバルクルーズラインのカーニバルイレーション。
シップデータ
総トン数 70,367トン
全 長 260.60メートル
全 幅 31.39メートル
巡航速度 21ノット
乗客定員 2,052名
乗組員数 926名

1本目はこのあたり。
船を眺めながらのダイビング。

青い!
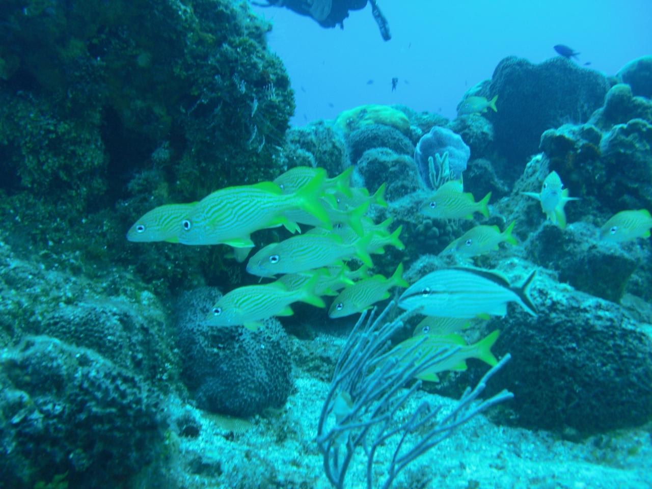
そして魚がウジャウジャいます。

透明度も高く文句なし!

サンゴ礁も多く、魚も多いのであちこち見るのに忙しい!

ガイドさんがイセエビを見つけました。
なが〜い髭、生簀以外で初めて見たよ!

ちょっとだけ明るくなって来ました。

沢山の小魚が泳いでいます。
ブルーが濃いきがするのは気のせい?

明るくなったので上を見上げると太陽が出ていました。

カニ発見。
このカニとっても大きいです。
そして大きな魚がつついてました。
あまりにも攻撃するもんだから岩陰に隠れてしまったよ。

今までのダイビングではあまり見たことがなかった魚が沢山います。

1本目終了!
15メートルのドリフトで40分。
なかなか見ごたえがありました!

休憩時間は短く、20分程度。
まだ結構疲れてるんですけど・・・
ハードなダイビングだなぁ〜
カーニバルの船が一隻増えてました。

2本目は10メートル付近。
今回もドリフトです。
こちらのポイントも魚が多い!

割と大き目の魚が多かったです。

とにかくウヨウヨ。

またもカニ発見!
岩場に隠れてしまったのでフラッシュ撮影したら赤かった!

何だっけこれ。
後から色々名前を教えてくれたんだけど、英語名でわけわかりませんでした。

エイもいたよ!
はじめてみた〜
初めてづくしで楽しいダイビングでした。

もう一隻はイレーションと同型船のカーニバルパラダイスでした。

もう親子というよりも巨人と小人くらいの差があるオアシスとヴィジョン。
全幅はヴィジョンが32mでオアシスは66m。
スッポリ入って更に余るくらいオアシスは巨大です。
総トン数も3倍だもんね!
やっぱり大きいです。

やっぱりコスメルの海は青さが違うような・・・

利用したダイビングショップ。
とっても丁寧なガイドさんでした。
英語の説明だし、タンクの残圧計も普段利用している単位ではないのでちょっと心配で、もう一度ゆっくり説明して欲しいとお願いしたら「君達の事はボクがちゃんと見てるから大丈夫だよ!」と。
結局、残圧計のチェックとかはなく、OKかそうじゃないか位しか確認されずでしたが(みんなに対しても)あまり無理なダイビングはしないようで残圧にドキドキすることもなく無事終えることができました。
2014 【西カリブ海クルーズ&ヒューストン&ロサンゼルス】オアシス・オブ・ザ・シーズ10泊12日
シリーズページを見る
【西カリブ海クルーズ&ヒューストン&ロサンゼルス】オアシス・オブ・ザ・シーズ コスメル(メキシコ)サンミゲル観光 7日目:後半
- 【西カリブ海クルーズ&ヒューストン&ロサンゼルス】オアシス・オブ・ザ・シーズ 経由地ヒューストンへ 1日目

- 【西カリブ海クルーズ&ヒューストン&ロサンゼルス】オアシス・オブ・ザ・シーズ フォートローダーデール出港 2日目

- 【西カリブ海クルーズ&ヒューストン&ロサンゼルス】オアシス・オブ・ザ・シーズ 終日クルーズ 3日目

- 【西カリブ海クルーズ&ヒューストン&ロサンゼルス】オアシス・オブ・ザ・シーズ ラバディ(ハイチ) 4日目

- 【西カリブ海クルーズ&ヒューストン&ロサンゼルス】オアシス・オブ・ザ・シーズ ファルマス(ジャマイカ) 5日目

- 【西カリブ海クルーズ&ヒューストン&ロサンゼルス】オアシス・オブ・ザ・シーズ 終日クルーズ 6日目

関連する乗船レビュー
コメント
まだコメントは投稿されていません。
コメントを投稿する
コメントの投稿にはログインが必要です。







